khany ®   08-Jan-2024 12:41

Cargo securing arrangement assessment (EXCEL)


Year: 2023
Version: 1.1
Developer: BV
Platform: Multiplatform
64-bit OS compatibility: yes
System Requirements: Microsoft Excel with enabled Macros.
Localization: English
Crack: Not needed
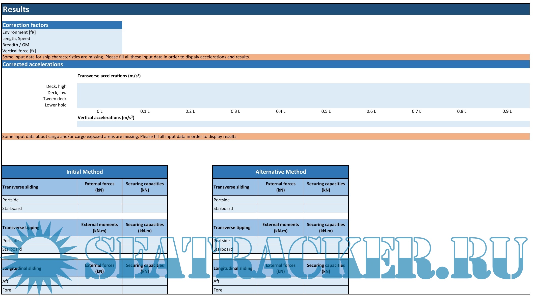
Description: Our Cargo Securing Arrangement Assessment tool assess the efficiency of securing arrangements for semi-standardized and non-standardized cargo based on the requirements of the Section 7 of CSS IMO Code Annex 13, December 2020 (MSC.1/Circ.1623).
The balance calculation is carried out for:
  • Transverse sliding in portside and starboard directions
  • Transverse tipping in portside and starboard directions
  • Longitudinal sliding in forward and aft directions
Both initial and alternative methods, as described in sections 7.2 and 7.3 of CSS IMO Code Annex 13 respectively, are included in the tool.

Screenshots

CSAA11

Download [205 B]

Thank U
Reply
refresh list

Similar releases

Lashcon TM IMO User Guide - DNV [2003, PDF]
Lashcon IMO - DNV [2004, XLS]
Steel Coil Loading Software Cargo hold evaluation tool (XLSX) v.1.4 - BV [2023]
A Practical Guide to Damage Stability Assessment - SOLAS Regulation on Damage Stability - J…
Decarbonization of Maritime Transport - Burak Zincir [2023, PDF]
Guidelines For The Preparation Of The Cargo Securing Manual - China Classification Society [2022,…
Ship Construction UG 21 T4204 - Capt. Deepak Karan [2018, PDF]
Guidelines for Container Stowage and Securing Arrangements - Class NK [2020, PDF]
Deck Stowage and Securing of Pipes - C.Bliault [2008, PDF]
Lecture Note for Innovative Ship Design - Prof. Kyu Yeul Lee [2012, PDF]
LOAD MORE
  • Reply

The time now is: Today 21:21

All times are GMT + 3 Hours